Local Service Overview

Get Ants Extermination Service in Addison, TX

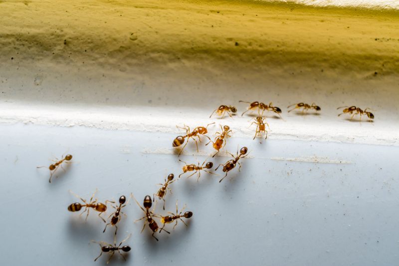
Ants extermination services for property owners in Addison, TX, and nearby areas address ant infestations, including nests removal and prevention for residential and commercial properties.

Addison, TX

Ants extermination services in Addison, TX, are essential for property owners seeking to maintain a safe and comfortable environment. Ant infestations can compromise the functionality of a property by invading kitchens, storage areas, and other spaces, leading to potential contamination and damage. Professional extermination helps to effectively eliminate these pests, reducing the risk of future invasions and minimizing ongoing maintenance efforts. This service supports a durable and resilient property, ensuring that ant problems do not interfere with daily activities or the overall usability of the space.

Choosing expert ant extermination can also enhance curb appeal by creating a cleaner, pest-free exterior and interior appearance. Property owners often look for solutions that not only address current issues but also prevent future occurrences, helping to maintain the property's value over time. By working with experienced service providers, residents and business owners can enjoy peace of mind knowing their property is protected from ant-related disruptions, promoting a safer and more inviting environment.

Get Ants Extermination Service Quotes

  • Ant Infestation Removal - needed when ants invade homes or businesses in Addison, TX and nearby areas.
  • Kitchen Ant Control - required if ants are found in food preparation or storage areas.
  • Outdoor Ant Extermination - necessary to eliminate ant colonies around yards, gardens, or building foundations.
  • Carpenter Ant Treatments - important when signs of wood damage or large ants are present inside structures.
  • Preventative Ant Barrier Services - used to establish ongoing protection against future ant invasions.

Get Ants Extermination Service Quotes

Ants Extermination Service
Ants Extermination Service
Ants Extermination Service

Ants extermination services involve professional treatments designed to eliminate ant colonies and prevent future infestations. These services typically include identifying the type of ants present, locating their nests, and applying targeted solutions to eradicate them from the property. Treatments may involve the use of baits, sprays, or dusts that are strategically placed to disrupt the ants’ trails and colony structure. The goal is to reduce the ant population effectively while minimizing disruption to the property and its occupants.

Ant infestations can cause numerous problems for property owners. Ants are not only a nuisance due to their persistent presence and foraging behavior, but they can also contaminate food supplies and surfaces with bacteria. In some cases, certain ant species may cause structural damage or pose health risks through bites or allergic reactions. Extermination services help address these issues by removing the source of the infestation, thereby improving hygiene and reducing the risk of further complications.

These services are commonly utilized in residential properties, including single-family homes, apartment complexes, and condominiums. Commercial properties such as restaurants, grocery stores, and office buildings also frequently require ant extermination to maintain cleanliness and comply with health standards. Additionally, property managers and landlords often seek professional assistance to manage ant problems across multiple units or large-scale residential communities.

Professional ant extermination services are tailored to the specific needs of each property type and infestation severity. Local service providers employ various methods and products suited for different environments, ensuring effective treatment regardless of the property’s size or location. Contacting a local pest control expert can help property owners find a suitable solution to eliminate ants and prevent future issues, maintaining a clean and pest-free environment.

The overview below groups typical Ants Extermination Service projects into broad ranges so you can see how smaller, mid-sized, and larger jobs often compare in Addison, TX.

In many markets, a large share of routine jobs stays in the lower and middle ranges, while only a smaller percentage of projects moves into the highest bands when the work is more complex or site conditions are harder than average.

Per-Infestation Cost - Ant extermination services typically range from $150 to $300 for a single infestation. The cost can vary depending on the severity and size of the affected area, with larger infestations potentially costing more.

Per-Visit Fees - Some service providers charge between $100 and $250 per visit for ant control treatments. Multiple visits may be necessary for complete eradication, influencing the overall expense.

Area-Based Pricing - Pricing for ant extermination often depends on the size of the property, with costs ranging from $200 to $500 for homes in Addison, TX. Larger properties or those with extensive ant activity may incur higher charges.

Initial Treatment Costs - The initial treatment for ant control generally falls within the $150 to $350 range. Follow-up treatments, if needed, are typically billed separately or at a reduced rate.

Actual totals will depend on details like access to the work area, the scope of the project, and the materials selected, so use these as general starting points rather than exact figures.

Get an Ants Extermination Service Quote

Ants Extermination - Local pest control providers offer specialized services to eliminate ant infestations in residential and commercial properties in Addison, TX and nearby areas.

Ants Control for Homes - Pros provide targeted treatments to remove ants from living spaces, helping to restore comfort and hygiene.

Commercial Ants Removal - Businesses can connect with local experts to address ant problems that may impact operations and customer environments.

Outdoor Ants Treatment - Service providers offer solutions to treat outdoor ant colonies around properties, reducing the risk of indoor invasions.

Ants Prevention Services - Local specialists can implement preventive measures to help keep ants from returning after initial removal.

Emergency Ants Extermination - Immediate response services are available through local pros for urgent ant infestations requiring quick action.

Ants Extermination Service

When comparing local professionals for ant extermination services, experience is an important factor to consider. Homeowners should look for service providers with a proven track record in handling ant infestations in residential settings similar to their own. Experienced pros are often familiar with common ant species in areas like Addison, TX, and nearby communities, which can contribute to more effective treatment strategies. Reviewing the length of time a contractor has been operating and their familiarity with local pest issues can help ensure the selected professional has the practical knowledge needed for successful ant control.

Clear communication and written expectations are key components of a positive service experience. Homeowners are encouraged to seek out pros who provide detailed information about their treatment methods, what homeowners can expect during and after the service, and any recommended follow-up steps. Reputable providers typically offer transparent communication and are willing to address questions or concerns before beginning work. Establishing these expectations in writing can help prevent misunderstandings and ensure that both parties are aligned on the scope and nature of the service.

Reputable references and reviews are valuable when evaluating local ant extermination providers. Homeowners should consider seeking recommendations from neighbors, friends, or online sources that highlight the experiences of previous clients. Reliable service providers often have a history of satisfied customers and can provide references upon request. Additionally, verifying the reputation of a pros through online reviews or local directories can offer insights into their professionalism, quality of work, and responsiveness. While the site introduces local options for ant extermination, it is important to remember that it does not perform the work itself, but rather connects homeowners with qualified local service providers.

Get an Ants Extermination Service Quote

Property owners in Addison, TX use Ants Extermination Service services for practical projects around their homes and businesses. The sections below highlight everyday jobs and straightforward project options.

Ants Extermination Service
Ants Extermination Service

Ants Extermination Services are often sought by property owners in Addison, TX, dealing with common household intrusions. Ants can invade kitchens, pantries, and outdoor spaces, creating nuisance and potential contamination concerns. Property owners may look for professional assistance to effectively eliminate ant colonies and prevent future infestations, especially when DIY methods prove ineffective or temporary.

In addition to residential spaces, businesses and commercial properties in Addison may require ant extermination to maintain cleanliness and comply with health standards. Ant activity around entry points, food storage areas, or outdoor dining spaces can disrupt operations and impact customer perceptions. Local service providers can offer targeted solutions to address these everyday project situations and help keep properties pest-free.

Get an Ants Extermination Service Quote

How do ant extermination services work? Local pest control providers typically assess the extent of ant infestations and apply targeted treatments, such as baits or insecticides, to eliminate colonies and prevent future invasions.

Are ant extermination treatments safe for pets and children? Many local pros use treatments that are safe when applied properly; it’s best to discuss any safety concerns with the service provider during contact.

How long does an ant extermination treatment last? The duration of effectiveness varies based on the treatment method and level of infestation, with some services offering follow-up options if needed.

Can ant extermination services prevent future infestations? Yes, many providers offer preventative advice and ongoing treatments to help reduce the likelihood of future ant problems.

What should I do before a pest control appointment? It’s recommended to clear the area of food and personal items and follow any specific instructions provided by the service provider during contact.

Ants Extermination Solutions - Local service providers offer targeted treatments to eliminate ant infestations effectively.

Inspection and Identification - Professionals can assess property conditions to identify ant species and entry points for precise removal.

Preventive Treatments - Experts can implement barrier methods and sealing techniques to reduce future ant activity.

Ongoing Monitoring and Maintenance - Local pros provide follow-up services to ensure ant problems do not recur over time.

Ants Extermination Service

Considering Ants Extermination Service for a property in Addison, TX? The sections above highlight common project types, practical options, and details that often shape the scope of work.

When you are ready, use the quote form to share a few details about your project. Local pros can review the basics and respond with options that match what you have in mind.

Get an Ants Extermination Service Quote

Ants Extermination Quotes

Our Trusted Partners
Cantu Pest Control
Orkin
Hawx Pest Control
Mosquito Shield