Local Service Overview

Get Red Ant Extermination in Rowlett, TX

Red Ant Extermination services for property owners in Rowlett, TX, and nearby areas include pest control, termite treatment, rodent removal, and prevention projects.

Rowlett, TX

Red ant extermination services provide property owners in Rowlett, TX with a practical solution to prevent and eliminate ant infestations. These services help maintain a comfortable living environment by reducing the presence of pests that can invade homes and outdoor spaces. Effective ant control not only enhances safety by minimizing potential nuisance and health risks but also preserves the functionality of outdoor areas, making them more enjoyable and accessible for daily use.

Choosing professional ant extermination can also contribute to increased durability and reduced maintenance of the property. By addressing ant issues promptly, property owners can prevent damage to structures, wiring, and landscaping caused by persistent infestations. Additionally, well-managed pest control efforts improve curb appeal by keeping outdoor spaces tidy and free of visible pests, supporting a more attractive and well-maintained property.

Get Red Ant Extermination Quotes

  • Red ant extermination services are recommended for properties experiencing persistent ant infestations in Rowlett, TX and surrounding areas.
  • Services are needed when ants invade homes, yards, or commercial spaces, disrupting daily activities.
  • Professional exterminators can assist with severe ant colonies that are difficult to eliminate through DIY methods.
  • Ant control may be necessary after noticing large ant trails or unusual ant activity around a property.
  • Expert treatment options are available for ongoing ant problems in neighborhoods across the region.

Get Red Ant Extermination Quotes

Red Ant Extermination
Red Ant Extermination
Red Ant Extermination

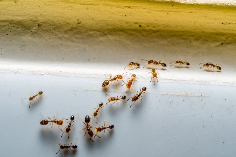
Red ant extermination services focus on identifying and eliminating red ant colonies from residential and commercial properties. These services typically involve thorough inspections to locate nests and assess the extent of the infestation. Once the problem areas are identified, pest control professionals apply targeted treatments, which may include baits, insecticides, or dusts designed to eradicate the ants at their source. The goal is to reduce or eliminate the red ant population, preventing further invasion and damage to the property.

Red ant problems can cause a variety of issues for property owners. These insects are known for their aggressive behavior and painful stings, which can pose risks to residents, especially those with allergies. Additionally, red ants can damage plants, disturb outdoor activities, and create unsightly mounds that detract from the property's appearance. In some cases, their presence indicates underlying conditions that may attract other pests or lead to structural concerns, making prompt treatment essential for maintaining a safe and comfortable environment.

Properties that commonly utilize red ant extermination services include homes, apartment complexes, and commercial buildings. Residential properties often seek treatment in yards, gardens, and outdoor living spaces where ant activity is most noticeable. Commercial properties such as restaurants, retail stores, and office buildings may also require pest control to prevent infestations from spreading within the premises or affecting customer experiences. In all cases, local pest control providers tailor their approaches to suit the specific needs of each property type and level of infestation.

Engaging with professional pest control services for red ant extermination can help property owners manage infestations efficiently. These experts use proven methods to target the entire colony, reducing the likelihood of recurring problems. Whether dealing with a small outdoor mound or a widespread indoor presence, contact with experienced local service providers ensures that the infestation is addressed effectively. This can contribute to a cleaner, safer environment for residents, employees, and visitors alike.

The overview below groups typical Red Ant Extermination projects into broad ranges so you can see how smaller, mid-sized, and larger jobs often compare in Rowlett, TX.

In many markets, a large share of routine jobs stays in the lower and middle ranges, while only a smaller percentage of projects moves into the highest bands when the work is more complex or site conditions are harder than average.

Initial Inspection - The cost for a thorough inspection typically ranges from $100 to $300, depending on property size and complexity. This fee often covers identifying pest activity and assessing entry points.

Pest Treatment - Treatment services generally cost between $150 and $400 per session, with larger infestations or difficult access increasing the price. Example costs might be around $200 for a standard treatment in a residential property.

Follow-Up Services - Follow-up treatments or inspections usually range from $75 to $200, depending on the extent of ongoing pest activity. These visits ensure pests are effectively controlled and prevent future issues.

Property Size Impact - Prices can vary based on property size, with small homes often costing less than $300 for complete services, while larger properties may range from $400 to $800 or more. The overall cost depends on the scope of work needed by local service providers.

Actual totals will depend on details like access to the work area, the scope of the project, and the materials selected, so use these as general starting points rather than exact figures.

Get a Red Ant Extermination Quote

Ant Extermination - Local pest control providers offer specialized treatments to eliminate red ants and prevent future infestations in residential and commercial properties.

Carpenter Ant Removal - Service providers can identify and remove carpenter ants that may cause structural damage, ensuring property integrity.

Odorous House Ant Control - Experts utilize targeted methods to eradicate odorous house ants, restoring comfort and cleanliness to affected spaces.

Fire Ant Management - Local exterminators provide solutions to control fire ant populations, reducing their nuisance and potential health risks.

Pharaoh Ant Eradication - Professionals apply effective treatments for pharaoh ants, which are often difficult to eliminate without specialized approaches.

Sugar Ant Removal - Service providers help manage sugar ant invasions, preventing them from contaminating food and household areas.

Red Ant Extermination

When selecting a Red Ant Extermination service, it is important to consider the experience of local professionals. Homeowners should look for providers with a proven track record in pest control, particularly in managing ant infestations similar to those in Rowlett, TX. An experienced contractor will have encountered various scenarios and developed effective strategies, which can contribute to more reliable results. Verifying the length of time a professional has been operating in the community can offer insight into their familiarity with local pest behaviors and conditions.

Clear and written expectations are essential when working with pest control providers. Reputable local pros typically outline the scope of work, methods used, and any follow-up procedures in a detailed manner. This transparency helps homeowners understand what services will be performed and what outcomes to anticipate. Having these expectations documented can also facilitate smoother communication and ensure that both parties are aligned on the process from start to finish.

Reputation and communication are key factors in choosing a pest control provider. Homeowners should seek out local pros with positive references or reviews from previous clients in the area. Good communication involves responsiveness, clarity, and professionalism, which can greatly influence the overall experience. When professionals are approachable and transparent, it becomes easier to address questions or concerns throughout the process, fostering a more confident and informed decision-making experience.

Get a Red Ant Extermination Quote

Property owners in Rowlett, TX use Red Ant Extermination services for practical projects around their homes and businesses. The sections below highlight everyday jobs and straightforward project options.

Red Ant Extermination
Red Ant Extermination

Red ant extermination services are often sought after by property owners in Rowlett, TX, dealing with persistent ant infestations. These small pests can invade homes and businesses, especially during warmer months, creating nuisances and potential health concerns. Local service providers can help identify the source of the ant problem and implement targeted treatments to eliminate colonies and prevent future invasions.

Homeowners and property managers in Rowlett may also look for red ant extermination when noticing increased activity around their properties, such as mounds in yards or ants entering through cracks and gaps. Reliable local pros can assess the extent of the infestation, recommend appropriate solutions, and help restore comfort and safety to residential and commercial spaces.

Get a Red Ant Extermination Quote

How do pest control professionals handle red ant extermination? Local pest control providers typically conduct inspections to identify ant nests and entry points, then apply targeted treatments to eliminate colonies and prevent future infestations.

Are red ant extermination treatments safe for pets and children? Most local pros use treatments designed to be safe around pets and children when applied according to safety guidelines, but it's best to discuss specific concerns with the service provider.

How long does red ant extermination usually take? The duration varies depending on the extent of the infestation, but many treatments can be completed within a few hours on-site.

Will I need multiple visits for red ant control? Some cases may require follow-up visits to ensure complete eradication and to address any remaining or new colonies.

What should I do before a red ant extermination service? It's recommended to clear the area around ant activity and inform the service provider of any specific concerns or areas needing attention.

Red Ant Extermination Solutions - Local service providers offer targeted treatment options to eliminate red ants from residential and commercial properties.

Inspection and Identification - Local pros can assess property conditions to identify ant nesting sites and determine the most effective removal strategies.

Preventative Measures - Service providers can recommend and implement steps to reduce future ant infestations around the property.

Ongoing Monitoring - Professionals can provide follow-up services to ensure red ant populations are effectively controlled over time.

Red Ant Extermination

Considering Red Ant Extermination for a property in Rowlett, TX? The sections above highlight common project types, practical options, and details that often shape the scope of work.

When you are ready, use the quote form to share a few details about your project. Local pros can review the basics and respond with options that match what you have in mind.

Get a Red Ant Extermination Quote

Red Ant Extermination Quotes

Our Trusted Partners
Cantu Pest Control
Orkin
Hawx Pest Control
Mosquito Shield