Local Service Overview

Get Ants Extermination Service in Nevada, TX

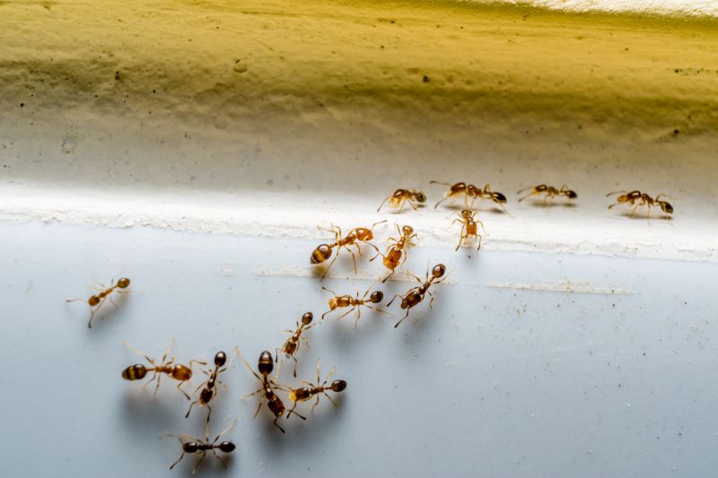
Ants extermination services for property owners in Nevada, TX, and nearby areas address ant infestations, including treatment of kitchens, basements, and outdoor spaces.

Nevada, TX

Ants extermination services are essential for property owners in Nevada, TX seeking to maintain a comfortable and functional living or working environment. Effective pest control helps prevent ant infestations that can compromise the safety and cleanliness of a property, reducing the risk of damage to structures and stored goods. By addressing ant problems promptly, property owners can enjoy a more durable and low-maintenance space, minimizing disruptions and the need for ongoing repairs caused by pest activity.

Choosing professional ant extermination services also enhances curb appeal by creating a clean, pest-free exterior and interior. A well-maintained property not only looks inviting but also preserves its value over time. Property owners often seek these services to ensure their homes or businesses remain safe, attractive, and easy to care for, benefiting from the expertise of local providers who can tailor solutions to their specific needs.

Get Ants Extermination Service Quotes

  • Ants Extermination - Services are needed when ants invade kitchens and living areas in residential properties throughout Nevada and nearby states.
  • Ants Extermination - Professionals can address ant infestations that occur in commercial spaces or outdoor areas around homes and businesses.
  • Ants Extermination - When ants form large colonies or mounds in yards and gardens, local pros can provide targeted treatment options.
  • Ants Extermination - Seasonal ant activity during warmer months often requires expert intervention to prevent widespread indoor intrusion.
  • Ants Extermination - Persistent ant problems in multi-unit buildings or apartment complexes may need ongoing pest control solutions from local specialists.

Get Ants Extermination Service Quotes

Ants Extermination Service
Ants Extermination Service
Ants Extermination Service

Ants extermination services involve professional treatments designed to eliminate ant colonies and prevent future infestations. Service providers typically assess the extent of the ant problem, identify the species involved, and apply targeted solutions to eradicate both visible ants and their nests. These treatments often include the use of specialized baits, insecticides, and barriers to ensure thorough removal. The goal is to address the root of the infestation, reducing the likelihood of ants returning and causing ongoing issues for property owners.

Ant infestations can pose various problems, including property damage, contamination of food supplies, and general nuisance. Certain ant species, such as carpenter ants, are known to cause structural damage by burrowing into wood, while others may invade kitchens and pantries, contaminating stored food. Additionally, ant trails can lead to increased pest activity and attract other unwanted insects. Professional extermination services help mitigate these issues by providing effective solutions that target the source of the infestation and restore a pest-free environment.

Properties that commonly utilize ant extermination services include residential homes, apartment complexes, commercial buildings, and food establishments. Homes often seek treatment to safeguard food supplies and prevent structural damage, especially in areas where ants are persistent. Commercial properties like restaurants and grocery stores prioritize pest control to maintain hygiene standards and comply with health regulations. Multi-unit dwellings and shared living spaces also benefit from professional treatments to manage ant populations across multiple units, ensuring a comfortable and pest-free environment for residents.

Engaging with local ant extermination service providers can help property owners address ant problems efficiently and effectively. These professionals bring experience and knowledge to identify the source of infestations and apply appropriate treatment methods. Regular inspections and preventative measures may also be recommended to maintain a pest-free space over time. Contacting local experts ensures that tailored solutions are provided for specific property needs, helping to eliminate ant issues and maintain a clean, safe environment.

The overview below groups typical Ants Extermination Service projects into broad ranges so you can see how smaller, mid-sized, and larger jobs often compare in Nevada, TX.

In many markets, a large share of routine jobs stays in the lower and middle ranges, while only a smaller percentage of projects moves into the highest bands when the work is more complex or site conditions are harder than average.

Initial Inspection - The cost for an ant inspection typically ranges from $50 to $150, depending on the property's size and location. This fee covers a thorough assessment to identify ant activity and entry points.

Basic Treatment - A standard ant extermination service usually costs between $100 and $300. The price varies based on the extent of the infestation and the treatment method used.

Full Property Extermination - Comprehensive treatments for entire homes or commercial spaces can range from $200 to $600. This includes multiple applications and possibly ongoing monitoring.

Preventive Services - Preventive ant control plans often cost between $50 and $150 per visit. These services aim to establish barriers and reduce the likelihood of future infestations.

Actual totals will depend on details like access to the work area, the scope of the project, and the materials selected, so use these as general starting points rather than exact figures.

Get an Ants Extermination Service Quote

Ants Extermination - Local pest control providers offer specialized services to eliminate ant infestations and prevent future problems in residential and commercial properties.

Ant Control for Homes - Service providers focus on identifying ant entry points and applying targeted treatments to safeguard homes from ongoing ant activity.

Commercial Ant Extermination - Businesses can connect with local pros who deliver tailored ant removal solutions to maintain a pest-free environment.

Outdoor Ant Prevention - Experts assist with barrier treatments and habitat modifications to reduce ant colonies around outdoor spaces.

Natural Ant Removal Methods - Some service providers utilize environmentally conscious techniques to manage ant problems without harsh chemicals.

Emergency Ant Pest Control - Immediate response services are available from local pros for urgent ant infestations requiring quick attention.

Ants Extermination Service

When choosing an ant extermination service, considering the experience of local professionals can be an important factor. Many service providers have years of hands-on experience addressing ant infestations in residential settings, which can contribute to effective and efficient treatments. Homeowners are encouraged to review the backgrounds of local pros to understand their familiarity with specific ant species common in areas like Nevada and Texas, ensuring they have relevant practical knowledge for the job.

Clear communication of expectations is essential when working with pest control providers. Reputable local pros typically outline the scope of their services, including the methods they use and any preparations needed before treatment. Homeowners should seek professionals who are transparent about their processes and can provide detailed information about what to expect during and after the service, helping to ensure a smooth and informed experience.

References and reputation are key indicators of a local pest control provider’s reliability. Many homeowners find it helpful to review references or testimonials from previous clients to gauge the quality of service. Additionally, reputable local pros often have established reputations within the community, which can be verified through local directories or reviews. Effective communication, including prompt responses and clear explanations, further supports a positive working relationship and helps ensure that pest issues are addressed thoroughly and professionally.

Get an Ants Extermination Service Quote

Property owners in Nevada, TX use Ants Extermination Service services for practical projects around their homes and businesses. The sections below highlight everyday jobs and straightforward project options.

Ants Extermination Service
Ants Extermination Service

Ants extermination services are commonly sought after by property owners in Nevada, TX dealing with persistent ant infestations in residential or commercial spaces. These professionals address everyday situations such as visible ant trails, nests near the foundation, or ants invading kitchens and dining areas. Property owners often look for effective solutions to eliminate the problem and prevent future invasions, especially during warmer months when ant activity tends to increase.

In addition to visible signs of ants, property owners may request extermination services to protect their belongings and maintain hygiene standards. Ants can pose concerns for food storage, property damage, or simply the discomfort of sharing a space with pests. Local service providers can offer targeted treatments and advice to help manage and prevent ant issues, ensuring a pest-free environment for homes and businesses in Nevada, TX.

Get an Ants Extermination Service Quote

How do ant extermination services work? Ant extermination services typically involve identifying ant species and entry points, applying targeted treatments, and providing recommendations to prevent future infestations.

Are the treatments safe for children and pets? Most ant extermination methods used by local professionals are designed to be safe when applied properly; it is advisable to discuss safety concerns with the service provider.

How long does an ant extermination treatment take? The duration of treatment varies depending on the extent of the infestation and the treatment method used; a local pro can provide an estimate based on specific conditions.

Will I need multiple treatments for ants? Some ant species may require more than one treatment to fully eliminate the colony, especially if the infestation is severe or persistent.

How can I prevent future ant problems? Local ant extermination services often recommend sealing entry points, removing attractants, and maintaining cleanliness to reduce the likelihood of future infestations.

Ants Identification and Inspection - Professionals can assess the extent of ant activity and identify the species involved to determine the most effective treatment approach.

Targeted Ant Extermination Solutions - Local service providers offer tailored treatment plans to eliminate ant colonies and prevent future invasions.

Preventive Ant Control Strategies - Experts can implement measures to reduce attractants and seal entry points, minimizing the risk of ant infestations.

Ongoing Monitoring and Maintenance - Regular inspections and follow-up treatments help ensure ant problems are kept under control over time.

Ants Extermination Service

Considering Ants Extermination Service for a property in Nevada, TX? The sections above highlight common project types, practical options, and details that often shape the scope of work.

When you are ready, use the quote form to share a few details about your project. Local pros can review the basics and respond with options that match what you have in mind.

Get an Ants Extermination Service Quote

Ants Extermination Quotes

Our Trusted Partners
Cantu Pest Control
Orkin
Hawx Pest Control
Mosquito Shield