Local Service Overview

Get Ants Extermination Service in Greenville, TX

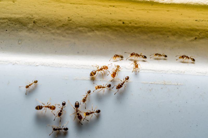
Ants extermination services for property owners in Greenville, TX, and nearby areas address ant infestations, prevent future invasions, and handle residential and commercial pest control projects.

Greenville, TX

Ants extermination services provide property owners in Greenville, TX with effective solutions to manage and eliminate ant infestations. Addressing these pests helps maintain a comfortable living or working environment by preventing the nuisance and disruption caused by ant colonies. Additionally, professional extermination enhances safety by reducing the risk of ant-related contamination or damage, ensuring spaces remain functional and inviting for residents, employees, and visitors alike.

Choosing expert ant control services offers several tangible benefits, including increased durability and reduced maintenance needs. Proper extermination can prevent structural damage caused by certain ant species and minimize recurring issues, saving property owners time and effort. Furthermore, a pest-free property boosts curb appeal, contributing to a well-maintained appearance that reflects pride in the property and can support long-term value.

Get Ants Extermination Service Quotes

  • Ants Extermination - Needed when ants invade kitchens or pantry areas in homes and businesses.
  • Ants Extermination - Recommended for properties experiencing persistent ant trails or nests outdoors.
  • Ants Extermination - Essential when ant colonies threaten to establish inside wall voids or structural gaps.
  • Ants Extermination - Useful for preventing ant infestations in commercial spaces like restaurants and retail stores.
  • Ants Extermination - Appropriate when ant activity is noticed around foundation areas or near entry points.

Get Ants Extermination Service Quotes

Ants Extermination Service
Ants Extermination Service
Ants Extermination Service

Ants extermination services involve identifying and eliminating ant infestations within residential, commercial, or industrial properties. Professionals typically conduct thorough inspections to determine the species of ants and locate their nests or entry points. Treatment methods may include the application of targeted baits, insecticides, or barriers designed to disrupt the ants' colonies and prevent future invasions. The goal is to reduce or eradicate ant populations while minimizing disruption to the property and its occupants.

These services address common problems caused by ant infestations, such as property damage, contamination of food supplies, and general nuisance. Certain ant species, like carpenter ants, can cause structural damage by nesting in wood, while others, such as odorous house ants, can quickly multiply and become difficult to control without professional intervention. Effective extermination helps restore comfort and hygiene, preventing the spread of ants into kitchens, pantries, and other areas where food is stored or prepared.

Ants extermination services are frequently utilized in a variety of property types, including single-family homes, apartment complexes, restaurants, and retail stores. Residential properties often seek these services to protect their living spaces and food supplies, while commercial establishments may require ongoing pest management to ensure compliance with health standards and to maintain a pest-free environment. In industrial settings, professional extermination can be essential to prevent damage to equipment or inventory caused by ant activity.

Engaging with local pest control providers ensures that properties receive tailored solutions based on the specific ant species and infestation severity. These professionals employ proven techniques to address the problem effectively and help maintain a pest-free environment. Contacting a local service provider is a practical step for property owners seeking professional assistance with ant extermination needs.

The overview below groups typical Ants Extermination Service projects into broad ranges so you can see how smaller, mid-sized, and larger jobs often compare in Greenville, TX.

In many markets, a large share of routine jobs stays in the lower and middle ranges, while only a smaller percentage of projects moves into the highest bands when the work is more complex or site conditions are harder than average.

Service Call Fees - Typically, service call fees for ant extermination range from $50 to $150, depending on the provider and location. This fee often covers inspection and initial treatment efforts. Contact local pros to get specific estimates for your area.

Per-Infestation Cost - The cost to treat a single ant infestation generally falls between $100 and $300. Larger or more persistent infestations may cost more, with prices varying based on severity and property size.

Whole-Property Treatments - Complete property treatments for ant control usually range from $200 to $600. This includes comprehensive coverage for homes or commercial spaces in Greenville, TX, and nearby areas.

Recurring Service Expenses - Ongoing or quarterly ant control services typically cost between $100 and $400 annually. Regular treatments aim to prevent future infestations and vary by property size and treatment frequency.

Actual totals will depend on details like access to the work area, the scope of the project, and the materials selected, so use these as general starting points rather than exact figures.

Get an Ants Extermination Service Quote

Ants Extermination - Local pest control providers offer specialized services to eliminate ant infestations in residential and commercial properties in Greenville, TX and surrounding areas.

Ant Control for Homes - Professionals provide targeted treatments to remove ants from indoor living spaces, helping to prevent future invasions.

Commercial Ant Extermination - Service providers assist businesses in controlling ant problems to maintain a clean and pest-free environment for customers and staff.

Outdoor Ant Prevention - Experts implement barrier treatments and habitat modifications to reduce ant populations around properties.

Eco-Friendly Ant Treatments - Some local providers utilize environmentally conscious methods to manage ant infestations effectively.

Emergency Ant Removal - Immediate response services are available from local pros for urgent ant infestations disrupting homes or businesses.

Ants Extermination Service

When evaluating ant extermination services, experience is a key factor to consider. Many local contractors have established a history of handling ant infestations in residential settings, with some having been in operation for several years. This background can often indicate familiarity with common ant species in Greenville, TX, and nearby areas, as well as effective treatment methods. Homeowners should review the length of time a service provider has been active in the community and inquire about their specific experience with ant control to ensure they possess the practical knowledge necessary for effective results.

Clear and written expectations are essential when selecting a local pest control provider. Reputable contractors typically offer detailed service descriptions, outlining what treatments will be performed, the scope of the work, and any preparations or follow-up actions required. Having this information in writing helps set realistic expectations and provides transparency about the process. Homeowners are encouraged to ask service providers for written estimates or plans to ensure that all parties have a shared understanding of the services to be delivered.

Reputation and communication are vital components when choosing a pest control professional. Local providers with established reputations often garner references or reviews from previous clients, which can serve as a helpful resource for assessing reliability and quality of service. Additionally, effective communication-such as prompt responses to inquiries and clear explanations of treatment options-can contribute to a smoother experience. Homeowners should seek out service providers who demonstrate professionalism and openness, fostering a relationship built on trust and clarity throughout the extermination process.

Get an Ants Extermination Service Quote

Property owners in Greenville, TX use Ants Extermination Service services for practical projects around their homes and businesses. The sections below highlight everyday jobs and straightforward project options.

Ants Extermination Service
Ants Extermination Service

Ants extermination services are often sought by property owners in Greenville, TX, dealing with persistent ant invasions in residential or commercial spaces. Common situations include discovering ant trails inside the home, noticing ants in the yard or around the foundation, or experiencing ongoing ant activity despite previous treatments. These services help address infestations that can disrupt daily routines and compromise comfort, making professional intervention a practical solution for property maintenance.

Property owners may also look for ant extermination when preparing for events or seasonal changes that tend to encourage ant activity. In addition, ongoing ant problems can indicate underlying issues such as moisture or entry points that need to be addressed. Local service providers can assess the situation and recommend appropriate treatments to help control and prevent future ant issues, supporting the overall upkeep of the property.

Get an Ants Extermination Service Quote

How do ant extermination services work? Ant extermination services typically involve inspecting the property to identify ant colonies, applying targeted treatments to eliminate nests, and implementing preventive measures to reduce future infestations.

Are the treatments safe for pets and children? Many local ant extermination providers use treatments that are safe when applied according to instructions; it is advisable to discuss safety concerns with the service provider beforehand.

How long does an ant extermination treatment last? The effectiveness duration varies depending on the treatment method and the severity of the infestation, with some treatments providing several months of protection.

Will I need multiple visits for complete ant control? Some ant infestations may require more than one treatment or follow-up visits to ensure complete eradication and prevent re-infestation.

How can I prevent future ant problems? Local pros often recommend maintaining clean surroundings, sealing entry points, and removing food and water sources to help prevent future ant issues.

Ants Extermination Solutions - Local service providers can assess the extent of an ant infestation and recommend appropriate treatment options.

Inspection and Identification - Professionals can identify ant species and locate nests to develop effective eradication strategies.

Barrier and Bait Treatments - Experts may apply targeted barriers or bait systems to help eliminate ants and prevent future invasions.

Ongoing Monitoring and Prevention - Service providers can offer advice and solutions to maintain ant-free environments over time.

Ants Extermination Service

Considering Ants Extermination Service for a property in Greenville, TX? The sections above highlight common project types, practical options, and details that often shape the scope of work.

When you are ready, use the quote form to share a few details about your project. Local pros can review the basics and respond with options that match what you have in mind.

Get an Ants Extermination Service Quote

Ants Extermination Quotes

Our Trusted Partners
Cantu Pest Control
Orkin
Hawx Pest Control
Mosquito Shield